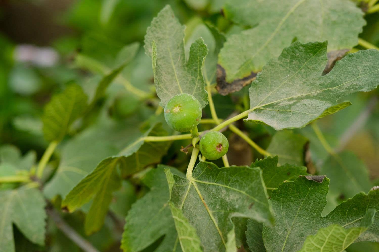
无花果什么季节扦插最好(附扦插方法)
一、扦插季节
它的扦插不太挑时间,四季都可以,但最好是在春季末,这时的扦插更利于成活,而且对后期的生长也有利。插后保持湿润的环境,大概一个月左右的时间就能发芽成活。

二、扦插方法
1、处理枝条:扦插时选用生长一年或者两年的枝条当做插条,都剪成15厘米长的小段,还要确保上面有两三个芽。然后把插条上端剪成平口,下端剪成斜口,这样不仅方便分辨,还对生根有利。
2、浸泡枝条:把修剪好的插条放在盛有水的容器中,大概浸泡12到24小时,要注意水质要清洁。泡好后放在阴凉处晾干备用。

3、准备土壤:扦插时土壤可以用营养土,只要保证疏松透气就可以。
4、进行扦插:扦插时将斜口朝下,插入的不要太深,大概是插条的三分之一就行。插好后适量浇水并盖一层稀薄的土,最好能在土壤上方再盖上草,充分保湿,不久就可以生根发芽。

标签:
74
蒜苗的成长过程日记 一、剥皮浸泡 选择个头饱满的蒜瓣,然后将外皮剥去,然后放置在浅的容器上,把蒜瓣整齐排列在上面,注意一定的间距,然后浇上水,保证能把根部浸泡,但是...
71
松树盆景怎么养护 严禁积水 松树盆景可以在无阳光的地方良好的生存,但是若出现积水现象,首先土壤会失去透气性,然后出现根部腐烂情况,此时便无法在吸收水分,导致植物的枝...
84
四季梅在室内养开花吗 一、在室内养是否可开花 四季梅是否可以开花主要看养护方式。如果养护得好、条件都适宜,在哪里养都能开花,室内也不例外。不过,在室内养有利有弊,而...
168
水生植物的生长需要什么 一、充足的阳光 阳光是所有植物都需要的,水生植物也不例外,是需要阳光补充,这样叶片才能吸收太阳光,合成营养供给植物生长。要是处在见不到阳光的...
186
水培文竹怎么养 1、水质洁净 水培文竹需要保持水质洁净,不能让水中出现杂物,否则可能会对植株的根系造成损伤。因此,可以每过4-5天,为它换一次水。在冬天低温时要减少换水的...
165
三角梅能在室内养吗 一、能在室内养吗 三角梅是比较常见的植物,它的株型是很有观赏性的,而且花朵的颜色也很鲜艳,所以是可以放在室内养。不过,这种植株的茎和叶都是有毒性...
91
如何在盐碱地种植玉米 一、土质改良 玉米耐不住盐碱,长期在这样的土质中将会难以生长,植株会变得矮小,叶片颜色也不正常,变得暗淡无光,严重的情况下会出现死亡。要想在盐...
57
扦插虎皮兰快速生根法 一、剪取叶片 扦插的第一步就是选好叶片。挑选一些比较粗壮的叶片,这样更容易生根。将叶片剪成5厘米长的小段,并将其放到阴凉处,晾晒几天,直到叶片微...
71
蒲包花的养殖方法和注意事项 一、配土 在刚养殖时就应给它配制适合的土壤,建议使用比较疏松、透气能力比较好的土。在使用前要先消毒,最好是在土里加一些木炭粉,能让它的根...
118
碰碰香秋天怎么养 1、保证光照 在秋天养碰碰香,一定要将它摆放到光线条件比较好的地方。因为它本身比较喜光,足够的光照是它健康生长的必要条件。如果养殖环境光照不足,很容...
174
茉莉的修剪方法 一、换盆时 在春天的时候,可以结合着翻盆换土的时候进行修剪,来以此控制植株的生长。脱盆之后先要修一下老根和枯根,之后摘除老叶,过长的徒长枝条进行短截...
104
玫瑰开花后需要剪掉吗 一、需要修剪 玫瑰开花之后是需要修剪的,如果不修剪的话可能会影响后期植株的整体长势,开出的花朵也会因为营养不充分越来越少。 二、修剪方法 1、剪除...
109
毛山药和铁棍山药区别 一、形状的区别 两者的区别是比较明显的。毛山药比较粗壮,大概有4-5公分粗,且形状不规则,有的呈细直状,有的弯曲。而铁棍山药相对较细,通常只有1-1....
157
玛格丽特如何过冬 一、保持温暖 玛格丽特花虽然可以忍受较低的温度,但是并不喜欢寒冷,适合在温暖一些的位置生长。因此,到了冬天之后,就应当将它移入室内,放在一个18-25℃之...
147
兰花品种 一、常见品种 兰花的品种很多。根据不完全统计的数据显示,目前已经发现的兰科植物总共有20000多种。而这20000多个品种,可以根据生长方式的不同,分为生长在苔藓或树根...
189
苦丁茶是什么植物 一、是什么植物 苦丁茶属于冬青科冬青属的一种植物,它是常绿的乔木之一,主要的分布地区是我国的华南、西南地区,比如重庆、湖北、四川、福建、江西、湖南...
160
开完花的蝴蝶兰怎么办 1、适宜修剪 如果想植株当年开花第二次,可将花茎从基部数第四到五个节的地方修剪,这种方法可能会使植株在两三个月之后再开花一次,但是营养消耗比较多...
173
君子兰换盆用什么土好 一、用什么土 在换盆的时候,可以专门去购买种植专用土,也可以在家中自行选择一些适合它生长的物质,然后将它们自行进行配制。 1、腐叶土:腐叶土里面混...
70
火锅发热包怎么用 加热包不热怎么回事 随着科技的发展,火锅、米饭等都推出了自热产品,只用用加热包加热就可以食用,方便快捷。很多朋友在吃自热火锅时发现加热包一直不变热...
154
火锅吃什么菜不长胖 不发胖的火锅蘸料 减肥是很多女孩的事业,一到减肥期间不敢喝奶茶、吃火锅,但是朋友之间难免少不了聚餐,如何在和朋友一起吃火锅的时候不长胖呢,小编教...